family CERAMBYCIDAE Latreille, 1802
subfamily CERAMBYCINAE Latreille, 1802
tribe Obrium Mulsant, 1839
genus Obrium Dejean, 1821
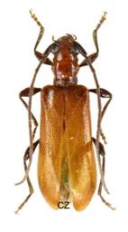
Obrium brunneum (Fabricius, 1793)

Velikost 4-7 mm.
Bionomie. Vývoj ve slabých odumírajících větvích a větvičkách jehličnatých stromů. Larva žere pod kůrou a kuklí se v komůrce mělce pod povrchem dřeva. Doba vývoje je pravděpodobně 1-2 letá. Imága se vyskytují od V. do VIII., maximum výskytu je konec VI. a počátek VII. na květech, např. Apiaceae, Aruncus, Filipendula aj.
Živné rostliny - Především Picea a Abies. Je udáván i z Pinus a Larix.
Obrium cantharinum cantharinum (Linnaeus, 1767)






Velikost 5-10 mm.
Bionomie. Listnaté a smíšené lesy, remízy, místa s poškozovaným a samovolně obnovovaným lesním porostem, např. okraje lomů apod. Vývoj ve větvích nebo slabších kmíncích odumírajícího a odumřelého dřeva o průměru 0,5-17 cm. Larva vyžírá pod kůrou a v povrchové vrstvě běli chodbičky převážně podélného směru a pro kuklení si vyhlodává nehlubokou (do 10-15 mm) slabě hákovitou, často jen podpovrchovou komůrku, zřídka se kuklí i v silnější kůře. Doba vývoje se udává od jednoho roku do tří let. Spolehlivě jsem zjistil vývoj roční i dvouletý. Prvým rokem přezimuje obvykle larva pod kůrou nebo již v kukelní komůrce, druhý rok pouze v komůrce. Ze stejného kusu dřeva se v domácích podmínkách mohou líhnout imága i v dalších letech, protože se snadno vykladou zpět a pak již není možné zjistit přesnou dobu vývoje podle brouků vylézajících ze dřeva. Imága se vyskytují od konce V. do VII. Aktivní jsou převážně v noci a často přilétají na světlo. Pokud je mi známo, v našich podmínkách nenavštěvují květy.
Živné rostliny - Převážně Populus tremula, potom v Populus alba a méně často i v Populus nigra a dalších Populus. Dále se uvádějí dřeviny Quercus, Pyrus, Rosa, Betula, Malus.
Obrium cantharinum cantharinum Linnaeus, 1767 CZ Populus tremula




